Продажа участков земли под инвестиционный проект, Пожаревац
Описание
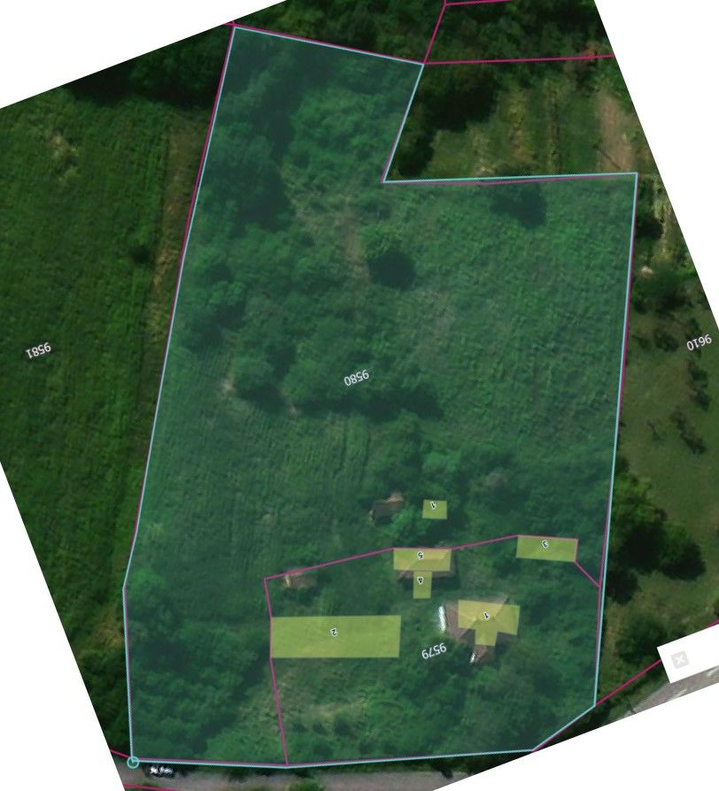
ИНВЕСТИЦИОННЫЙ СТРОИТЕЛЬНЫЙ УЧАСТОК – VITOVNICA – 170 АР – ВОЗМОЖНО СТРОИТЕЛЬСТВО до ~3200 м² Продаётся инвестиционный строительный участок в муниципалитете Petrovac na Mlavi, кадастровая община Melnica, рядом с селом Vitovnica. Общая площадь около 170 аров, включает кадастровые участки 9580, 9581 и 5979, с прямым выходом на асфальтированную дорогу (Stanulovački put). Участок расположен в тихом и привлекательном месте недалеко от Banja Ždrelo, Homoljske planine и монастыря Vitovnica, что делает его подходящим для инвестиционных и туристических проектов. Земля строительная, зарегистрирована в кадастре, собственность 1/1, без обременений. На участке есть электричество, рядом проходит вода, подъезд асфальтированный. Для участка получен официальный документ Informacija o lokaciji, в котором указаны условия строительства и параметры застройки. Согласно условиям из Informacija o lokaciji, на трёх участках возможно планировать строительство объектов общей площадью до примерно 3200 м², в зависимости от проекта и градостроительных условий. Данная площадь не указана в кадастре и определяется на основании градостроительных условий и проектной документации. Участок подходит для: – туристического комплекса – коттеджного посёлка – разделения на участки – строительства 10–15 домов – жилых объектов – девелоперского проекта Рельеф подходит для застройки. Есть документация и местный архитектор, знакомый с условиями строительства. Общая площадь: около 170 аров Участки: 9580, 9581, 5979 Возможная застройка ~3200 м² Строительная земля Асфальт, электричество, вода Собственность 1/1 Цена: 139.000 € Подробности
|
1 EUR
Написать продавцу
Показать телефон
+381629337422
Ссылка на это объявление
Добавлено: 22.03.2026 в 13:28
Добавить новое объявление
Просмотров: 184 |








